Typhoon Wutip (2019)
Typhoon Wutip, known in the Philippines as Tropical Depression Betty, was the most powerful February typhoon on record, surpassing Typhoon Higos of 2015.[1][2] The third tropical cyclone, second tropical storm, and the first typhoon of the 2019 Pacific typhoon season, Wutip originated from a low-pressure area on February 16, 2019. The disturbance moved westward, passing just south of the Federated States of Micronesia, before later organizing into Tropical Depression 02W on February 18, 2019. On February 20, 2019, the tropical depression intensified into a tropical storm and was named Wutip, before strengthening further into a typhoon on the next day. Wutip underwent rapid intensification, and on February 23, Wutip reached its peak intensity, with 10-minute sustained winds of 195 km/h (120 mph), 1-minute sustained winds of 270 km/h (165 mph), and a minimal pressure of 920 millibars (27 inHg) while passing to the southwest of Guam, becoming the strongest February typhoon on record as it did so.
| Typhoon (JMA scale) | |
|---|---|
| Category 5 super typhoon (SSHWS) | |
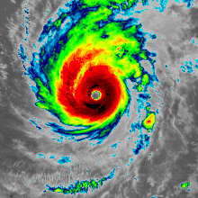
![]() Typhoon Wutip at the second peak intensity west of the island of Guam, on February 25. | |
| Formed | February 18, 2019 |
| Dissipated | March 2, 2019 |
| Highest winds | 10-minute sustained: 195 km/h (120 mph) 1-minute sustained: 270 km/h (165 mph) |
| Lowest pressure | 920 hPa (mbar); 27.17 inHg |
| Fatalities | None reported |
| Damage | $3.3 million (2019 USD) |
| Areas affected | Guam, Federated States of Micronesia, Northern Mariana Islands |
| Part of the 2019 Pacific typhoon season | |
Wutip underwent an eyewall replacement cycle shortly afterward, which caused the storm to weaken as it turned to the northwest. Wutip finished its eyewall replacement cycle on February 24, which allowed Wutip to restrengthen, with the typhoon rapidly intensifying once again. On February 25, Wutip reached a secondary peak intensity with 10-minute sustained winds of 185 km/h (115 mph), 1-minute sustained winds of 260 km/h (160 mph), and a minimum central pressure of 935 millibars (27.6 inHg), becoming the first Category 5-equivalent super typhoon recorded in the month of February. Afterward, Wutip weakened on February 26, due to encountering strong wind shear. Wutip rapidly weakened as it moved northwestward, before dissipating on March 2.
Wutip caused at least $3.3 million (2019 USD) in damages in Guam and Micronesia.[3][4]
Meteorological history

On February 16, a low-pressure area formed to the south of Marshall Islands, gradually organizing as it moved westward, passing just south of the Federated States of Micronesia.[5] On February 18, the system organized into a tropical depression, and the Japan Meteorological Agency (JMA) initiated advisories on the system, with the Joint Typhoon Warning Center (JTWC) following the suit on the following day, giving the storm the identifier 02W. On February 20, Tropical Depression 02W strengthened into a tropical storm and received the name Wutip from the JMA. On the same day, the National Weather Service in Tiyan, Guam issued a Typhoon Warning for Satawal in Yap State and for Puluwat in Chuuk State, anticipating Wutip to develop into a typhoon. Additionally, a Tropical Storm Warning was also issued for Fananu, Ulul, Lukunor, Losap, and Chuuk in Chuuk State.[6] On the next day, Wutip intensified into a severe tropical storm, before intensifying further into a typhoon later that day, attaining 1-minute sustained winds of 157 km/h (99 mph) at 15:00 UTC, according to the JTWC, making Wutip the equivalent of a low-end Category 2 typhoon.[7] Wutip continued to strengthen, and on February 23, the storm was estimated by the JTWC to have 1-minute sustained winds of 195 km/h (120 mph), making it a Category 3-equivalent typhoon, while also generating wave heights up to 12.5 m (41 ft), with wind gusts reaching 240 km/h (150 mph).[8] Later that day, Wutip reached its peak intensity, with 10-minute sustained winds of 195 km/h (120 mph), 1-minute sustained winds of 270 km/h (165 mph), and a minimum central pressure of 920 millibars (27 inHg), making the storm a Category 5-equivalent super typhoon as it passed to the southwest of Guam. This also allowed Wutip to surpass Typhoon Higos from 2015 as the strongest February typhoon on record.[9] Typhoon Wutip underwent an eyewall replacement cycle, weakening back to Category 3-equivalent typhoon intensity as it turned to the north-northwest.[10]
.gif)
On February 24, Typhoon Wutip finished its eyewall replacement cycle and quickly re-intensified, resuming a trend of rapid intensification. Early on February 25, at 06:00 UTC, Wutip again became a Category 5-equivalent super typhoon, reaching a secondary peak intensity with 10-minute sustained winds of 185 km/h (115 mph), 1-minute sustained winds of 260 km/h (160 mph), and a minimum central pressure of 935 millibars (27.6 inHg).[1][2] This also made Wutip the only Category 5-equivalent super typhoon recorded in the month of February,[1] and also the only Category 5-equivalent storm recorded in February in the Northern Hemisphere. Rapid-scan (2.5-minute) Himawari-8 “Clean” Infrared Window (10.4 µm) images displayed a well-defined eye with an annular to axisymmetric eyewall structure; mesovortices could also be seen circulating within the eye. A series of gravity waves were also observed propagating radially outward from the eye during the animation, indicating the strength of the storm.[11] Early on February 26, Wutip encountered wind shear, weakening the storm once again. Around the same time, the Visible Infrared Imaging Radiometer Suite (VIIRS) instrument aboard NASA-NOAA's Suomi NPP satellite showed that Wutip's once-visible 45-kilometre-wide (25-nautical-mile) eye had become cloud-filled, as the storm weakened. At 15:00 UTC, the JTWC noted that Wutip's 1-minute maximum sustained winds dropped to 195 km/h (105 kn). By this time, the storm's eye was no longer visible on satellite imagery.[12] On February 27, 2019, at 09:00 UTC, the National Weather Service of Tiyan, Guam noted that Typhoon Wutip was located near 16.3°N and 139.4°E, about 660 km (410 mi) west-northwest of Guam, and about 690 km (430 mi) west-northwest of Saipan. Wutip's 1-minute sustained winds had also decreased to 145 km/h (90 mph).[13] Wutip made a turn to the west-northwest while rapidly weakening, due to hostile conditions. On February 28, Wutip weakened into a tropical depression. On the same day, Wutip was given the name Betty by the PAGASA, as the storm entered that agency's area of responsibility in the Philippine Sea.[14][15] On March 1, Wutip made a clockwise loop to the west, before dissipating on the next day.[16]
Preparations and impact
Wutip caused heavy infrastructural and agricultural damages across both Micronesia and Guam. Preliminary damage estimates for Wutip totaled $3.3 million.[3][4]
Guam

Civil defense officials warned that Guam was expected to experience tropical storm force winds between 64 and 72 km/h (40–45 mph) and rainfall totals of up to 6 inches (15.24 centimeters), and they advised the residents of Guam residents to stay indoors until the storm had passed. Wutip caused power outages across the island when it passed through the area on February 23.[17][18] The typhoon passed 165 miles (266 km) south of Guam, sparing the island the worst of Wutip's winds.[19] Wutip closest approach was on February 24 at 266 km (165 mi) southwest of Guam. As the seas became hazardous, the worst conditions from Wutip were persisted Saturday night.[20]
During and after a storm, the island-wide power system may be unstable, with abnormal high or low voltages, or fluctuating voltage being experienced in homes and commercial establishments.[21] The Federal Emergency Management Agency teams with a total of 18 members arrived from Saipan and Texas to help Guam with emergencies associated with Wutip. Victor Inge, FEMA Region IX external affairs officer, said a six-member team from Saipan and another 12-member team from Texas were on Guam to help the island with emergency needs. The team was at the Emergency Operations Center in Agana Heights with the Guam Homeland Security/Office of Civil Defense along with members of the Guam Joint Information Center.[22]
Micronesia
Prior to Wutip's arrival, warnings were issued for Yap and Chuuk in Federated States of Micronesia; however, the Tropical Storm Warning for Faraulep in Yap State was later cancelled.[23] Typhoon Wutip passed over Chuuk, Pohnpei, and Yap states in the Federated States of Micronesia from February 19–22 as a Category 2 typhoon with sustained wind speeds of more than 160 km/h (100 mph). Wutip left at least 165 people homeless and leaving approximately 160 houses damaged or destroyed in both Chuuk and Yap. Strong winds and sea water inundation also destroyed food sources in affected areas and rendered water sources unsafe to drink. In response to the storm's impact, local authorities declared states of emergency for Chuuk and Yap.[24]
Aftermath
Guam
On May 11, 2019, U.S. President Donald J. Trump approved the disaster declaration requested by Guam Governor Lou Leon Guerrero, and ordered federal assistance to supplement local recovery efforts in the areas affected by the typhoon.[25] According to a press release from the White House, the Trump Administration made federal funding available to the territory, including for eligible local governments and certain private nonprofit organizations, on a cost-sharing basis for emergency work and the repair or replacement of facilities damaged by Wutip.[26]
Micronesia
On March 11, the Federated States of Micronesia President Peter M. Christian declared a national disaster, due to the effects of the storm, and requested international assistance. On March 12, U.S. Chargé d'Affaires Heather Coble declared a disaster, due to the effects of Typhoon Wutip.[27] In response, the United States Agency for International Development’s Office of U.S. Foreign Disaster Assistance provided $100,000 to support immediate disaster relief activities, for the affected populations in Micronesia. In addition, the USAID/OFDA deployed staff based in the region to the Federated States of Micronesia, to help coordinate response activities in collaboration with the Federated States of Micronesia authorities, the U.S. Government inter-agency staff, regional humanitarian actors, and other donors.[24] On May 7, U.S. President Donald J. Trump declared a disaster under the Compact of Free Association between the Government of the United States of America and the Government of the Federated States of Micronesia, as amended, due to damage resulting from Wutip.[28]
See also
- Other systems named Wutip
- Typhoon Keith – A Category 5-equivalent super typhoon that affected the some of the same areas in 1997
- Typhoon Paka
- Typhoon Higos – The previous record holder of the strongest typhoon in February on record
- Typhoon Maysak (2015) – The most powerful pre-April typhoon on record; struck Micronesia and the Philippines
- Typhoon Jelawat – An early-season Category 4-equivalent super typhoon from 2018, which affected some of the same areas
- Typhoon Yutu – A powerful Category 5-equivalent super typhoon that devastated Saipan and Tinian in the Northern Mariana Islands during the previous year
References
- Matthew Cappucci (February 25, 2019). "The strongest February typhoon on record packs 180 mph gusts, sideswiping Guam". The Washington Post. Retrieved May 21, 2019.
- Kristina Pydynowski; Robert Richards (23 February 2019). "Wutip becomes strongest super typhoon in February as it lashes Guam with rain, wind". Accuweather. Archived from the original on 22 February 2019. Retrieved 23 February 2019.
- "Preliminary cost estimate of Wutip: More than $1.3 million". Guam Pacific Daily News. March 1, 2019. Retrieved May 21, 2019.
- Losinio, Louella (April 12, 2019). "Post-Wutip damages to FSM cost at least $2M". Pacific News Center. Retrieved April 22, 2019.
- Kristina Pydynowski; Eric Leister (February 18, 2019). "First February typhoon since 2015 may threaten Guam, Northern Mariana Islands this week". Accuweather. Retrieved June 16, 2019.
- "Wutip (was 02W – Northwestern Pacific Ocean) – Hurricane And Typhoon Updates". blogs.nasa.gov. Retrieved 2019-05-16.
- "Typhoon Wutip on 21 February 2019 — SSEC". www.ssec.wisc.edu.
- Kahn, Brian. "An Extremely Rare February Typhoon Is Approaching Guam". Earther. Retrieved 2019-05-16.
- Teo Blašković (February 24, 2019). "Super Typhoon "Wutip" becomes the strongest February typhoon in West Pacific Ocean". The Watchers. Retrieved May 21, 2019.
- Jeff Masters (February 23, 2019). "Super Typhoon Wutip Hits 155 mph: Strongest February Typhoon on Record". Weather Underground. Retrieved May 21, 2019.
- "Super Typhoon Wutip « CIMSS Satellite Blog". Retrieved 2019-05-16.
- "Wutip (Northwestern Pacific Ocean) – Hurricane And Typhoon Updates". blogs.nasa.gov. Retrieved 2019-05-17.
- "NASA tracks a weaker Typhoon Wutip through northwestern Pacific". EurekAlert!. Retrieved 2019-05-17.
- Rappler.com. "Tropical Depression Betty enters PAR, but poses no threat". Rappler. Retrieved 2019-09-30.
- "Typhoon Wutip may enter PAR on Thursday". philstar.com. Retrieved 2019-12-05.
- "Wutip now a depression, spotted on NASA-NOAA satellite imagery". phys.org. Retrieved 2019-05-17.
- "Super Typhoon Wutip Lashes Guam With High Winds". WeatherBug. Retrieved 2019-05-17.
- "Wutip Upgraded to Super Typhoon, Lashes Guam With High Winds". Voice of America. Retrieved 2019-12-05.
- Keoni Everington (February 25, 2019). "Wutip becomes first super typhoon in February since 1911". Taiwan News. Retrieved May 21, 2019.
- Kaur, Anumita. "Super Typhoon Wutip spares Guam". Pacific Daily News. Retrieved 2019-12-05.
- Gilbert, Haidee Eugenio. "Typhoon Wutip: Isolated power outages as storm brings rain and wind". Evansville Courier & Press. Retrieved 2019-08-31.
- Gilbert, Haidee Eugenio. "FEMA teams arrive to help Guam with emergency response to Typhoon Wutip". USA TODAY. Retrieved 2019-09-20.
- Srncevic, Ivica. "Typhoon Wutip". www.dorris.live. Retrieved 2019-05-17.
- "Micronesia, Federated States of | Disaster Assistance | U.S. Agency for International Development". www.usaid.gov. 2019-03-18. Retrieved 2019-05-25.
- "President Trump Approves Disaster Declaration for Guam for Typhoon Wutip - Guam". ReliefWeb. Retrieved 2020-02-27.
- Losinio, Louella. "Federal government approves Guam's disaster declaration for Typhoon Wutip | PNC News First". Retrieved 2019-05-17.
- "IOM Micronesia Newsletter, July 2018 - April 2019 - Typhoon Wutip Destruction - Micronesia (Federated States of)". ReliefWeb. Retrieved 2020-02-21.
- "U.S. President Donald J. Trump Approves a Disaster Declaration for the Federated States of Micronesia". The White House. Retrieved 2019-09-20.
External links
| Wikimedia Commons has media related to Typhoon Wutip (2019). |
- 02W.WUTIP from the U.S. Naval Research Laboratory
- General Information of Typhoon Wutip (1902) from Digital Typhoon
- JMA Best Track Data of Typhoon Wutip (1902) (in Japanese)
- JMA Best Track (Graphics) of Typhoon Wutip (1902)

